Los meteorólogos predicen que la tormenta, que ahora se mueve con vientos de 240 kilómetros por hora, se debilitará antes de tocar el territorio del país asiático este fin de semana.

CIRA
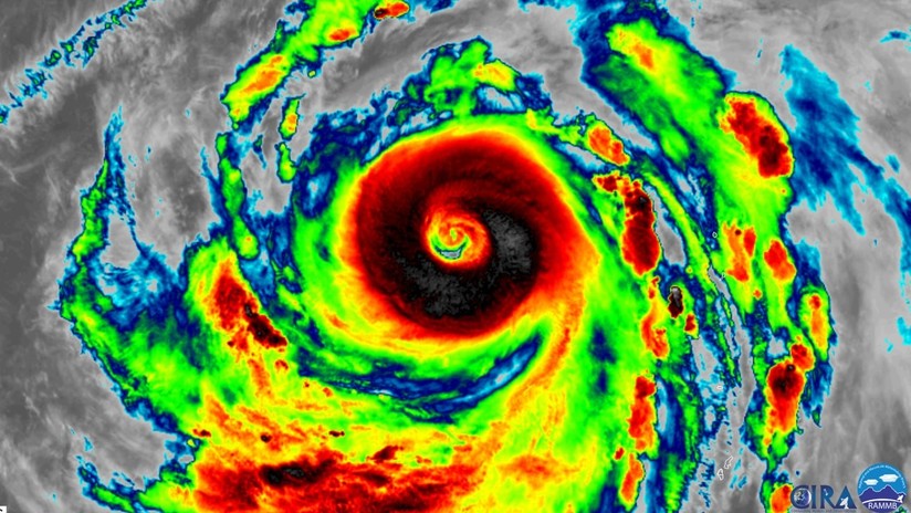
El supertifón Hagibis —que según la Administración Nacional Oceánica y Atmosférica de EE.UU. (NOAA) "es de momento la tormenta más potente en la Tierra"— se está dirigiendo hacia Japón con vientos de más de 240 kilómetros por hora y se espera que toque su territorio este fin de semana.
Desde la institución informaron que cobró fuerza de forma muy rápida y se trasformó de tormenta tropical a supertifón en solo 18 horas.
A su vez, el investigador de huracanes en la Universidad Estatal de Colorado (EE.UU.), Philip Klotzbach, afirmó a través de su cuenta en Twitter que se trata de "la mayor intensificación" por parte de un ciclón tropical en el Pacífico noroccidental durante dicho período desde el tifón Yates, en 1996.
#Hagibis has intensified by 90 mph in 18 hours - from a tropical storm to a #supertyphoon. This is the most intensification by a tropical cyclone in the western North Pacific in 18 hours since Yates in 1996 also intensified by 90 mph in 18 hours.
Mientras tanto, la Agencia Meteorológica de Japón calificó la intensidad de Hagibis de "violenta".
En ese contexto, Japan Times cita a Robert Speta, experto en tifones, quien precisó que el aumento de la fuerza de Hagibis fue "explosivo". "Pasó de una tormenta tropical a un tifón violento en cuestión de horas. De hecho, fue histórico volumen de intensidad en tan poco tiempo", destacó.
Super #Typhoon #Hagibis in the Western Pacific, seen by #Himawari8, rapidly intensified during the weekend and is continuing to gain strength, with maximum sustained winds at 150 mph and gusts up to 184 mph.
More imagery: go.usa.gov/xVFY4
Hagibis ya ha impactado las Islas Marianas del Norte, donde desató grandes lluvias y fuertes vientos y se prevé que la noche del próximo sábado o la mañana del domingo se acerque a la isla japonesa de Honshu.
Sin embargo, los meteorólogos predicen que antes de aproximarse al territorio nipón se debilitará, y llegará ya como una tormenta de categoría 1 o 2, aunque todavía hay dudas sobre su trayectoria final.
Sin embargo, los meteorólogos predicen que antes de aproximarse al territorio nipón se debilitará, y llegará ya como una tormenta de categoría 1 o 2, aunque todavía hay dudas sobre su trayectoria final.
https://actualidad.rt.com/actualidad/329692-violento-supertifon-hagibis-japon


No hay comentarios:
Publicar un comentario